Sun News 尚新聞生活中心 / 責任編輯
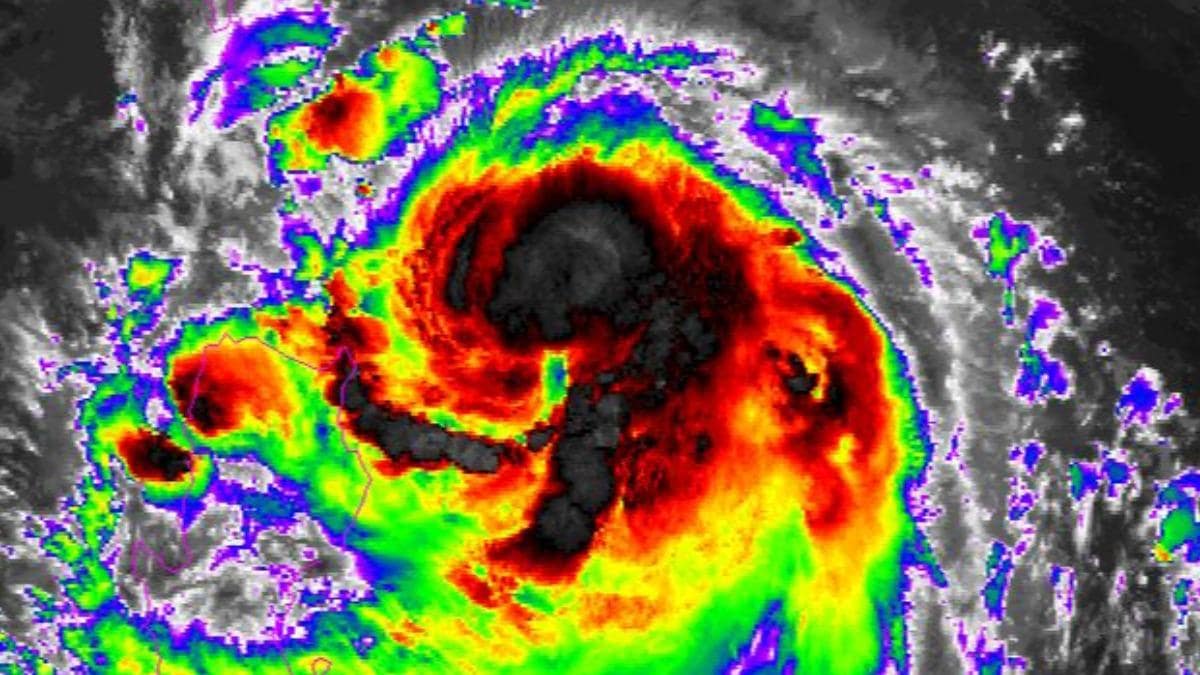
颱風山陀兒持續增強,中午轉為「中度颱風」,颱風已於8:30發布海上警報,今晚至明週一(30)日陸上警報,颱風不排除從屏東登陸。
中央氣象署指出,山陀兒增強成中颱,週二(10/1)、週三(10/2)雨勢最劇,全台都會降雨。
暴風圈範圍持續擴大,週二、週三颱風中心最接近台灣,7級風暴風半徑可上探250公里,10級風暴風半徑也有80公里,全台都在其警戒區域範圍內。
專家指出,下週二、週三放假機率高,尤其北部(新竹以北)、東北部、東部雨量較大,包括:基隆、台北、新北、桃園、新竹、宜蘭、花蓮、台東,八縣市有機會停班停課。


拜託放假